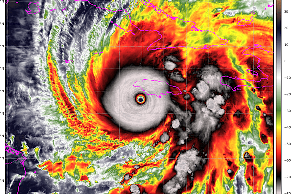
Le mur oculaire est la partie la plus dense d’une tornade – un anneau d’orages imposants entourant le centre tranquille ou « l’œil » de la tempête. Ici, les vents atteignent leur force maximale, les précipitations sont plus fortes et les vagues sont plus hautes.
À l’intérieur du mur oculaire, les conditions sont difficiles : les vents d’ouragan peuvent détruire des bâtiments, déraciner des arbres et provoquer d’énormes ondes de tempête le long de la côte. À l’extérieur de l’œil, les conditions peuvent sembler plus calmes, mais c’est le mur de l’œil qui alimente le pouvoir destructeur de la tempête.
Considérez l’œil comme littéralement « l’œil de la tempête », étrangement calme et tranquille, tandis que le mur de l’œil est le moteur rugissant de la tempête, tourbillonnant autour de lui. Pour quiconque se trouve sur son passage, le mur des yeux est la zone la plus dangereuse – le véritable cœur de la tornade.
Ainsi, lorsqu’un ouragan touche terre, c’est le mur de l’œil qui frappe la côte, et non l’œil lui-même.
Une image satellite montre l’ouragan monstre éclipsant la Jamaïque en violet.crédit: cyclonicwx.com
